Colonia del Sacramento, Chacras En Laguna De Los Patos

U$S 55,000

R$ ~295,000

Tipo de propriedade

Fazenda ou campo

mais do que

5 meses

Visualizações

484

Venta De Chacras En Laguna De Los Patos(colonia)

Chacras en venta desde USD 55.000

Muy lindas fracciones de campo, ubicadas próximas al Aeropuerto Internacional Laguna de los Patos de la ciudad de Colonia del Sacramento, acceso por caminos de ripio.
En este hermoso y resguardado lugar, se ha desarrollado una pintoresca zona de chacras con destino turístico recreativo y residencial, aprovechándose del hermoso entorno natural de la campiña, sin perder todas las comodidades y servicios de la ciudad.
Dispersos dentro de sus límites, se encuentran variedades de árboles de buen porte, palmeras y arbustos autóctonos, forestación en condiciones ideales para el diseño y generación de grandes espacios parquizados.
El acceso es excelente, encontrándose a sólo 1000 m del Aeropuerto, a 1200 m de la Ruta 1 y a sólo 9 km del centro de la ciudad de Colonia del Sacramento.

Precios:
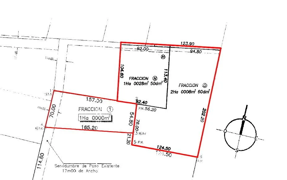
-Fracción \"N\" de 1 há- USD 55.000* ver plano de ubicación

-Fracción \"1\" de 1 há- USD 65.000* ver plano de ubicación

-Fracción \"O\" de 2 has- USD 95.000* ver plano de ubicación 

Detalhes da propriedade

ID

Tipo de propriedade

Tipo de operação

1193800

Fazenda ou campo

Oferta

Hectares

Referência

Atualizada

1

N3EFE4

2025-07-22

Localização

55к U$S

Localização

Colonia

Endereço

Colonia del Sacramento, Chacras En Laguna De Los Patos

Ações Adicionais

Toribio Achával Uruguay
092...020
598...020
Objeto similar
Carregando...
Ganhe dinheiro indicando colegas!

Convide outros corretores de imóveis e ganhe 10% de comissão por cada promoção que fizerem.